| MLS # | 942109 |
| Details | Lot Size: 0.1 acres (DOM): 88 days |
| Taxes (per year) | $3,956 |
| Bus | 3 min: Q22 |
| 4 min: QM17 | |
| Subway | 7 min: A |
| LIRR | 1.7 miles: "Far Rockaway" |
| 2.1 miles: "Inwood" | |
![]() |
$425,000.00
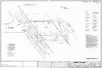
LOT 14
LOT SQ FT 4,459
ZONING: C3
LOT DIMENSIONS: 35X125
RESIDENTIAL FAR: 0.6
COMMERCIAL FAR: 0.5
FACILITY FAR: 1
ALLOWED USABLE FLOOR AREA TO BUILD: 2675 SF
**WATER FRONT PROPERTY**
COMMERCIAL ZONING
This information is not verified for authenticity or accuracy and is not guaranteed and may not reflect all real estate activity in the market. Listing courtesy of Michelle Mehr © 2026







