| ID # | 932641 |
| Details | Lot Size: 1.58 acres (DOM): 103 days |
| Taxes (per year) | $4,148 |
![]() |
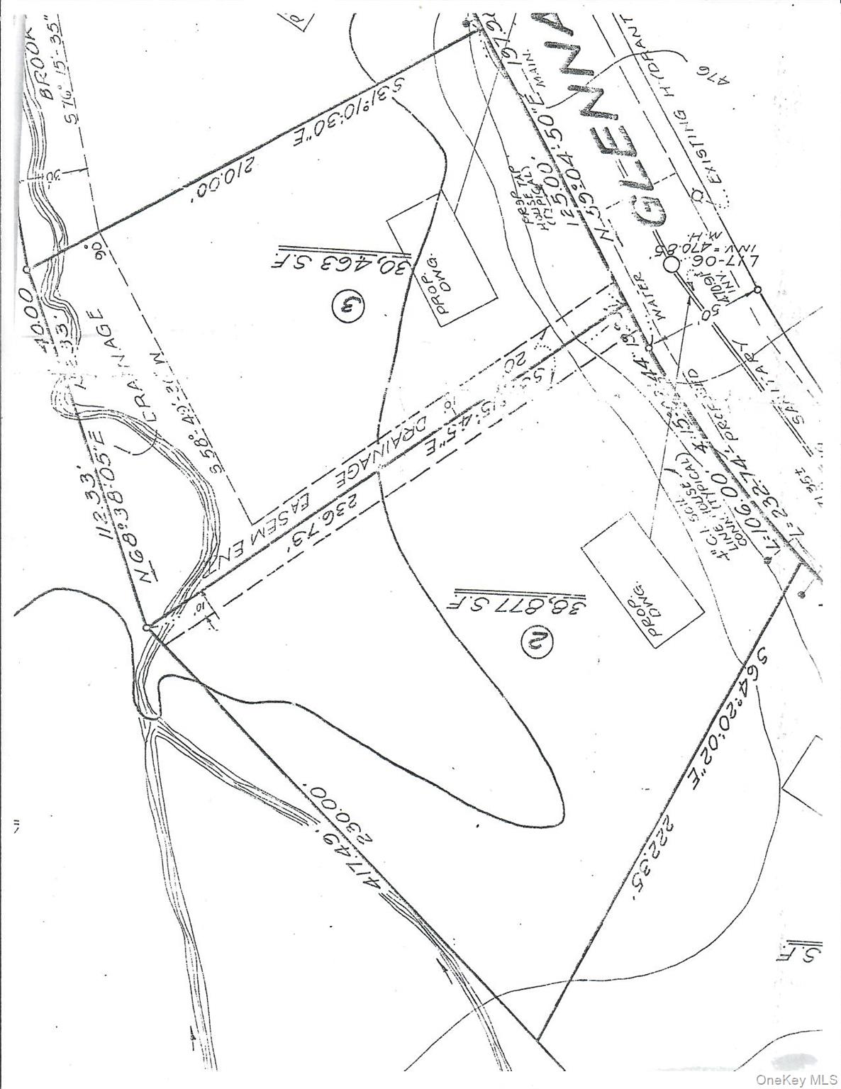
TREMENDOUS OPPORTUNITY. Not one, but TWO potential building lots. Great for investors or someone looking for the ideal home in an amazing area. Close to Carmel shops and restaurants. Fair St being widened and sidewalks added to make the stroll to town so much easier and safer. Municipal water and sewer hook ups available. Wetland setback determination and final town approval all that is needed to build on these incredible parcels.
This information is not verified for authenticity or accuracy and is not guaranteed and may not reflect all real estate activity in the market. Listing courtesy of RE/MAX Classic Realty © 2026







